Konturen vs. Bruchkanten, was ist der Unterschied?
Global Mapper Pro enthält eine Vielzahl von fortschrittlichen Werkzeugen zur Bearbeitung und Analyse des Geländes, einschließlich einiger Optionen zur Erstellung von Vektormerkmalen aus einem digitalen Höhenmodell (DEM). Konturen und Bruchkanten sind beides Vektorlinien, die eine Geländeoberfläche beschreiben, obwohl ihre Erstellung und Anwendung sehr unterschiedlich sind.
Oft werden sie verwechselt: Konturen, auch Höhenlinien genannt, verbinden Pixel gleicher Höhe, während Bruchkanten die Kanten von Neigung und Krümmung nachzeichnen, die den Übergang von einer Oberflächenebene zur anderen definieren.
Kontur-(Höhen-)Linien
Höhenlinien, eine Art von Isolinien, verbinden Punkte mit demselben Höhenwert in einem Datensatz. In der Regel haben Höhenlinien ein festgelegtes vertikales Intervall, so dass ihre horizontalen Abstände die lokalen Neigungseigenschaften widerspiegeln, und Höhenänderungen werden mit beschrifteten Linien auf einer 2D- oder 3D-Karte dargestellt. Bei den in Global Mapper erstellten Höhenlinien handelt es sich um 3D-Elemente, bei denen jede Linie einen einzelnen Höhenwert enthält. Jede Linie kehrt entweder zu ihrem Ausgangspunkt zurück und bildet eine geschlossene Kontur oder endet am Rand des Datensatzes.
In der Standardversion von Global Mapper können Höhenlinien aus einem digitalen Höhenmodell erstellt werden. Global Mapper Pro bietet darüberhinaus die Möglichkeit, Höhenlinien direkt aus Punktwolkendaten zu erstellen.
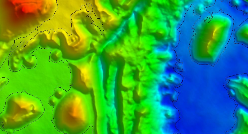
Mit ein paar Klicks in der Global Mapper-Oberfläche werden Höhenlinien in einem vom Benutzer eingestellten Intervall aus einem beliebigen geladenen Höhenmodell erzeugt.

Zwei-Meter-Höhenlinien lassen sich für dieses Geländemodell in Global Mapper leicht erstellen.
Während Konturen in der Regel als Linien dargestellt werden, bietet das Werkzeug Konturerstellung von Global Mapper auch die Möglichkeit, Flächen mit Iso-Höhe zu erstellen. Diese Einstellung im Dialogfeld für die Konturerstellung wandelt Konturlinien in Polygon-Elemente auf ihren vorgeschriebenen Höhen um, die bei der Darstellung im 3D-Viewer als übereinander gestapelte Ebenen erscheinen.

Die gleichen Einstellungen, die für die Erstellung von 2-Meter-Höhenlinien verwendet werden, wurden in diesem Bild auch für die Erstellung von Iso-Höhenflächen verwendet.
Ein zusätzlicher Analyseprozess im Werkzeug zur Konturerstellung identifiziert lokale Hoch- und Tiefpunkte, indem eine bestimmte Anzahl von konzentrischen oder verschachtelten Konturen ermittelt wird. Zusätzliche Parameter, die einen erforderlichen Mindestabstand zwischen den identifizierten Punkthöhen festlegen, können hinzugefügt werden, aber die identifizierten Spitzen und Senken basieren auf den von Global Mapper generierten Konturlinien.


Das Beispiel zeigt das gleiche Gebiet links mit 1- und rechts mit 2-Meter-Höhenlinien. Man sieht, dass mit steigender Dichte auch die Anzahl der Spitzen und Tiefen steigt.
Bruchkanten
Bruchlinien zeigen eine Veränderung oder einen Bruch in der Höhe oder Neigung an. Diese Vektorlinien umreißen Kanten und Veränderungen in einer Geländeoberfläche, um die Gesamtform zu vermitteln. Die Höhe der Bruchlinien variiert von Scheitelpunkt zu Scheitelpunkt und überschneidet oft die Höhenunterschiede.
Für die automatische Erzeugung von Bruchkanten sind Global Mapper Pro und ein geladenes digitales Höhenmodell erforderlich. Das Werkzeug zur automatischen Erzeugung von Bruchkanten, das über das Menü Analyse oder die Symbolleiste aufgerufen wird, enthält mehrere Methoden zur Erstellung von Bruchkanten.
Bruchlinien an Hangbereichsgrenzen finden analysiert die Neigung in einem Datensatz, um die Ränder von flachen Bereichen auf der Grundlage eines vom Benutzer eingegebenen Neigungsschwellenwerts zu identifizieren. Jeder Wert, der unter dem eingegebenen Schwellenwert liegt, gilt bei dieser Analyse als flacher Bereich. Diese Methode eignet sich gut, um abgeflachte Bereiche wie Wasserflächen und Baustellen zu identifizieren.

Mit der Methode "Bruchlinien an Hangbereichsgrenzen finden" mit einem höheren Neigungsschwellenwert werden Linien entlang der Kanten relativ flacher Bereiche im Gelände erstellt.
Bruchlinien um Kanten von Regionen mit ähnlichen Neigungen finden arbeitet mit einem Krümmungswert-Schwellenwert, um Bereiche unterhalb des eingegebenen Schwellenwerts zu umreißen. Die Krümmung misst die Kurve oder die Abweichung von einer geraden Linie an jeder Stelle des Geländedatensatzes. Diese Methode zur Erstellung von Bruchkanten erzeugt ein Standard-Krümmungsraster als Hintergrundprozess und verwendet dieses Raster, um geschlossene Konturlinien am Krümmungsschwellenwert zu identifizieren.

Bei der Suche nach geschlossenen Konturen, die auf der Krümmung basieren, begrenzen diese Bruchlinien Bereiche mit geringerer Krümmung.
Bruchkanten an jedem Geländebruch finden erzeugt Bruchkanten auf der Grundlage der ausgewählten Krümmungsmethode oder Neigung. Die Schieberegler Schwellenwert für Kantenerkennung und Schwellenwert für Kantenverbindung bestimmen, wie empfindlich die Bruchlinienerkennung ist und wie identifizierte Linien entlang inkonsistenter Kanten behandelt werden.

Die dritte Methode identifiziert Bruchkanten bei jeder Oberflächenveränderung auf der Grundlage von festgelegten Schwellenwerten.
Verwendung bei der Gelände-Erstellung
3D-Vektor-Elemente werden häufig bei der Erstellung von Gelände verwendet, um ein lokal modifiziertes Oberflächenmodell zu erstellen. In diesem Zusammenhang können sowohl Bruchkanten als auch Höhenlinien verwendet werden.
Bei der Abflachung von Gewässern im Rahmen der Geländeerstellung werden häufig Isohöhenbereiche verwendet, um ein Gewässer zu glätten.
In einem anderen Anwendungsfall kann für einen Bach oder eine Straße eine Bruchlinie verwendet werden, die in der Höhe variiert, da sie eine Kante in das Gelände schneidet, während es erzeugt wird. Bei beiden Methoden können 3D-Flächen und -Linien als Bruchkanten für die Geländeerstellung in Global Mapper Pro verwendet werden. Weitere Informationen zur Verwendung von Bruchkanten bei der Geländeerstellung finden Sie in diesem Blog über Hydro-Flattening. (Link muss noch mit unserer Seite ausgetauscht werden! )
Letztlich können in Global Mapper Pro sowohl Konturen als auch Bruchkanten aus Geländedaten erstellt werden, und beide beschreiben die Form des Geländes. Konturen tun dies, indem sie gleiche Höhenwerte verbinden, während Bruchkanten Krümmung und Neigung analysieren, um größere Veränderungen im gesamten Gelände zu umreißen oder nachzuzeichnen.
Informieren Sie sich auch über die Geländeanalyse in den folgenden englischprachigen Videos:
- Konturen in wenigen Schritten generieren
- Automatisches Extrahieren von Bruchkanten
- Erstellen eines 3D-Modells, eines DTM oder einer topografischen Karte